Beschrijving

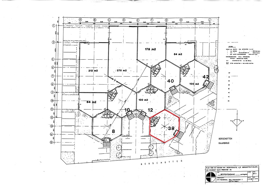
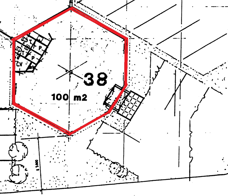
Dit bedrijfspand maakt onderdeel uit van een kleinschalig bedrijvenverzamelgebouw gevestigd op Industrieterrein de Sleutel in Bladel. Deze ruimte is prima geschikt voor kleinschalige ondernemers die behoeften hebben aan een mooi representatief kantoor, showroom of kleinschalige bedrijfsruimte. Voor de deur op het eigen terrein zijn ten minste 4 parkeerplaatsen aanwezig. Tegenover het pand kan ook nog ruimschoots geparkeerd worden op openbaar terrein. Afhankelijk van de huurcondities kan ruimte in overleg met de verhuurder nog aanvullend gemoderniseerd worden.

Indeling unit 
Kantoor voorzien van spotverlichting, verwarming middels radiatoren, zonwerend glas, c.v. ruimte, toiletgroep, pantrykeuken voorzien van close-in boiler en technische ruimte.

Ligging
Gelegen op een fraaie zichtlocatie op het bedrijventerrein “de Sleutel” te Bladel. De bereikbaarheid is zowel per eigen vervoer als per openbaar vervoer goed.

Bijzonderheden

Nutsvoorzieningen
Er is aanwezig gas, water, elektra, internet- en telefoonaansluiting.

Gebruik / bestemming
Volgens het bestemmingsplan zijn bedrijven toegestaan met activiteiten tot en met categorie IV. Detailhandel is niet toegestaan (behoudens vrijstelling). 
 
Algemeen
Het bedrijfspand is per direct beschikbaar en de huurprijzen worden vermeerderd met servicekosten t.b.v. tuinonderhoud, raambewassing, onderhoud van de overheaddeur, c.v. onderhoud en keuring van de brandblus preventiemiddelen. 

BTW
In overleg is btw-vrijgestelde verhuur mogelijk.

Huurcondities:
- Aanvangshuurprijs bedraagt €7.200,- / jaar excl. btw en servicekosten
- Huurbetaling per maand vooruit d.m.v. automatisch incasso.
- Huurtermijn, onbepaalde tijd met minimaal 6 maanden
- Opzegtermijn 3 maanden voor huurder en verhuurder
- Er wordt geopteerd voor een met BTW belaste verhuur. (vrijstelling btw in overleg)
- Als zekerheidstelling wordt een waarborgsom of bankgarantie gevraagd ter grootte van 3 maanden huur incl. btw.
- Huurindexatie vindt jaarlijks plaats, voor het eerst één jaar na huuringangsdatum.
- Huurcontract volgens model ROZ-2003 (Raad van Onroerende Zaken) krachtens artikel 7:230a BW

Kenmerken